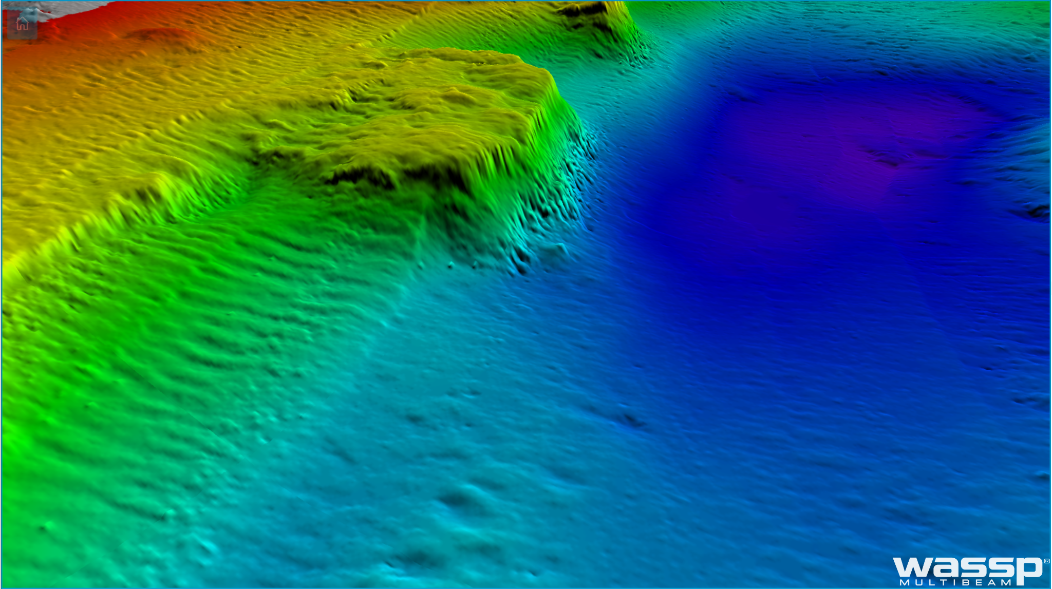
The future of sonar motion compensation
High-Precision - Always reliable - Low cost
Related questions
- Read the full answer
The MRU Marine is IP-68 rated with Lemo connectors and LEDs. The Marine SW supports 50m depth, uses SubConn connectors, and comes in two versions differing by available output combinations.
- Read the full answer
A gyrocompass determines true north using gyroscopes and Earth's rotation, not magnetism. It’s essential for heading accuracy in marine and aerial navigation, though performance may vary at extreme latitudes.
- Read the full answer
Motion monitoring is a cornerstone of safety, operational efficiency, and asset protection in the offshore industry: whether on vessels, platforms, or subsea equipment.
Further reading

Advanced motion compensation for sonars introduced at Ocean Business 2025
Norwegian Subsea is bringing its acclaimed Motion Reference Unit (MRU) technology to sonar-based applications with the introduction of an updated MRU lineup featuring full aiding capabilities at Ocean Business 2025 this week.

Motion Reference Units for vessel performance optimisation in focus at Europort 2025
Next week, the maritime world gathers in Rotterdam for Europort 2025, one of the largest international meeting points for shipbuilders, technology providers and operators. With a strong focus on innovation and sustainability, the exhibition is an important platform for discussing how the industry can meet future demands through smarter, greener solutions.

A year in Motion Reference Units...
From bathymetric surveys to subsea inspections and wave radar systems, our Motion Reference Units (MRUs) have been put to work in a wide range of challenging environments during 2025. As the year draws to a close we take a quick look back at some of the highlights, applications, and collaborations that helped shape another strong year of progress for Norwegian Subsea.
Related products

Usage area
6000 m depth
Connectors
SubConn 8
Roll & Pitch accuracy
- 3000±0.05°
- 6000±0.02°
- 9000±0.01°
Heave accuracy
5 cm or 5.0%

Usage area
50 m depth, IP 68
Connectors
Lemo or SubConn 8 or SubConn 16
Roll & Pitch accuracy
- 3000±0.05°
- 6000±0.02°
- 9000±0.01°
Heave accuracy
5 cm or 5.0%



![[object Object] logo](https://cdn.sanity.io/images/awqie9xu/production/37ecfee8eb28c0bbd26fe1d55a231acc7387846e-200x200.jpg?w=3840&q=75&fit=clip&auto=format)
![[object Object] logo](https://cdn.sanity.io/images/awqie9xu/production/b0a9900623f1ed2d52c63a4461830217a296056b-866x471.webp?w=3840&q=75&fit=clip&auto=format)
![[object Object] logo](https://cdn.sanity.io/images/awqie9xu/production/b6275c6257bbec0877d771acc9066669f3694194-197x176.png?w=3840&q=75&fit=clip&auto=format)
![[object Object] logo](https://cdn.sanity.io/images/awqie9xu/production/8796b48ed74760dc17dbc82083a5d5cb2091b7ac-5159x1981.webp?w=3840&q=75&fit=clip&auto=format)
![[object Object] logo](https://cdn.sanity.io/images/awqie9xu/production/a658fa6e9b87e58996b8f6b6047a327c4b0991a2-264x157.webp?w=3840&q=75&fit=clip&auto=format)