
The Motion Reference Unit of choice for Sonar Motion Compensation
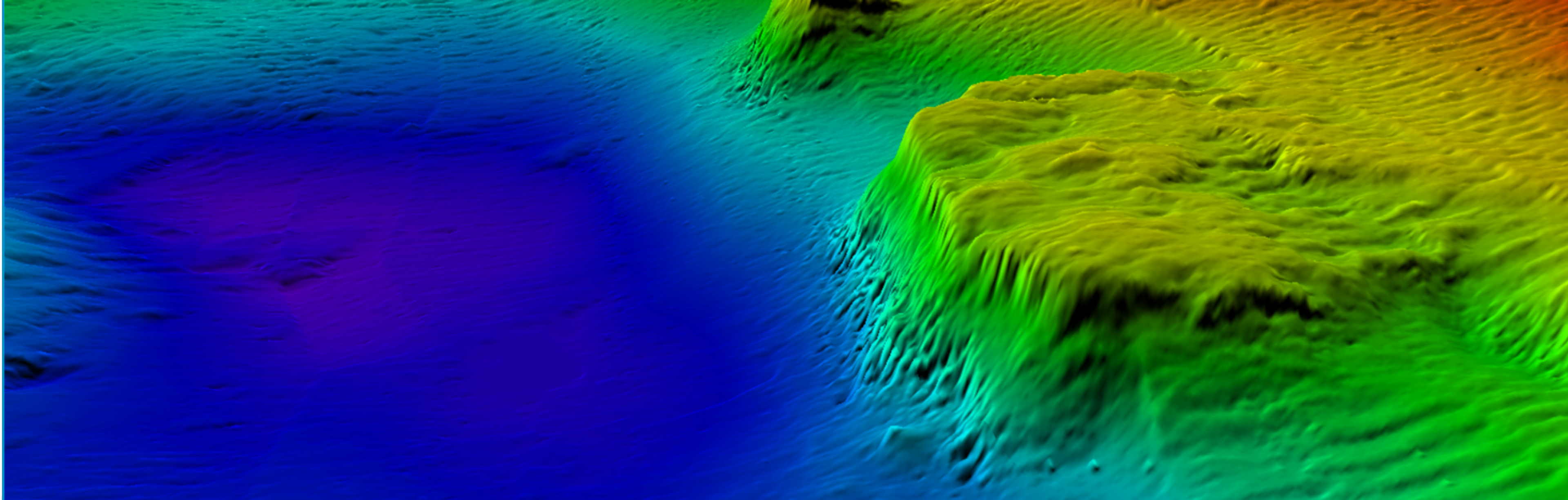
A sonar system is only as accurate as the motion data used to compensate it. Vessel roll, pitch, and heave all directly distort sonar returns, leading to gaps, misalignments, and incorrect depth measurements. Norwegian Subsea MRUs are the motion reference of choice for sonar motion compensation, delivering high-accuracy roll, pitch, and heave correction in real sea conditions without dependency on RTK or GNSS signals.
The Motion Reference Unit of choice for Sonar Motion Compensation

Why Sonar Motion Compensation Matters
Any sonar system mounted on a moving vessel is subject to the full range of vessel motions, and without accurate, real-time compensation, those motions corrupt the data. Roll and pitch cause beam tilting that shifts the apparent position of seafloor targets, heave introduces depth errors, and irregular or coupled motions in real sea conditions are the hardest to compensate accurately. This is precisely where Norwegian Subsea MRUs excel.
Norwegian Subsea MRUs integrate seamlessly with all major sonar types — including Multibeam Echo Sounders (MBES), Side-Scan Sonars, Single Beam Echo Sounders, Sub-bottom Profilers, and Forward-Looking Sonars. Providing the accurate, stable motion reference each system needs to produce reliable, high-resolution data. Compatible with leading sonar manufacturers and available as compact standalone sensors or fully integrated OEM solutions.
Unlike many competing systems that perform well in simple sine wave motion but degrade in real sea conditions, Norwegian Subsea MRUs are specifically validated against irregular and multi-directional wave patterns, the conditions your sonar will actually encounter offshore. The result is survey-grade accuracy in real time, reduced post-processing, fewer repeat surveys, and a maintenance-free sensor that requires no recalibrations after installation.
For a full technical deep-dive into our sonar motion compensation capabilities, visit our dedicated Hydrography page.



